Ein Produkt der  
Die grösste Wochenzeitung im Fricktal
fricktal info
Verlag: 
Mobus AG, 4332 Stein
  Inserate: 
Texte:
inserat@fricktal.info
redaktion@fricktal.info
Fricktalwetter
Überwiegend bewölkt
7.9 °C Luftfeuchtigkeit: 86%

Samstag
8.8 °C | 22.3 °C

Sonntag
11.5 °C | 17 °C

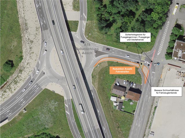
A18-Vollanschluss Aesch: Ausfahrt zur Dornacherstrasse wird für Langsamverkehr optimiert. Foto: zVg

A18-Vollanschluss Aesch: Ausfahrt zur Dornacherstrasse wird für Langsamverkehr optimiert

(pd) Beim A18-Vollanschluss Aesch wurde die Ausfahrt Dornacherstrasse zweispurig gebaut, um allfällige Rückstaus im Kreisel zu vermeiden. Ein Verkehrsmonitoring zeigt indes, dass eine Spur ausreicht. Um die Verkehrssicherheit zu erhöhen, werden am 5. Mai die zwei Fahrstreifen auf einen reduziert.

Am Montag, 5. Mai, wird die Ausfahrt Dornacherstrasse beim A18-Vollanschluss Aesch von zwei auf einen Fahrstreifen reduziert. Dank mobilen Bauelementen kann bei Bedarf der ursprüngliche Zustand rasch wiederhergestellt werden. Die einspurige Ausfahrt hat den Vorteil, dass die Sicht bei nebeneinanderfahrenden Fahrzeugen nicht eingeschränkt ist. Das erhöht die Sicherheit von Velofahrenden und Fussgängerinnen und Fussgängern, die auf der Dornacherstrasse unterwegs sind.

Die Distanz von der Kreiselausfahrt bis zur Dornacherstrasse ist mit ca. 60 Metern relativ kurz. Aus diesem Grund wurde beim Bau des A18-Vollanschlusses Aesch die Ausfahrt zunächst zweispurig ausgeführt. Damit wollte man sicherstellen, dass kein Rückstau in den Kreisel entsteht. Das übergeordnete Verkehrsmonitoring an der Dornacherstrasse zeigt indes, dass die Kreuzung Dornacherstrasse mit einer einspurigen Ausfahrt leistungsfähig genug ist.

Die Reduktion der Fahrstreifen erfolgt in Absprache mit dem Bundesamt für Strassen (ASTRA). Das Verkehrsmonitoring mit einem Videoerfassungssystem wird weitergeführt und begleitet die Massnahme. Dabei werden nur verkehrstechnisch relevante Daten wie Verkehrsmenge, Rückstaulängen, Wartezeiten etc. erhoben. Personenbezogene Daten werden nicht erfasst.

Weiterführende Informationen zu aktuellen Baustellen finden Sie auf der Homepage des Tiefbauamtes des Kantons Basel-Landschaft unter: Baustellen Kantonsstrassen.

Bild: A18-Vollanschluss Aesch: Ausfahrt zur Dornacherstrasse wird für Langsamverkehr optimiert. Foto: zVg